
MH370 Investigators: Missing Aircraft Not in Current Search Area
By Tom Westbrook as well as Rozanna Latiff
SYDNEY/KUALA LUMPUR, Dec 20 (Reuters)– Investigators looking for Malaysia Airlines trip MH370 have actually advised prolonging the search by 25,000 sq kilometres (9,650 sq miles), to a location additionally north in the Indian Ocean, after yielding for the very first time they were possibly searching in the incorrect area.
Flight MH370 vanished in March 2014 with 239 travelers as well as team aboard, a lot of them Chinese, en course to Beijing from the Malaysian resources,Kuala Lumpur Its location have actually turned into one of the globe’s best aeronautics secrets.
The search organizer, the Australian Transport Safety Bureau, provided a record previously on Tuesday in which it stated brand-new proof from sea drift modeling as well as evaluation of satellite interactions with the airplane as well as washed-up particles assisted identify the brand-new location.
But Australia, among 3 search nations, turned down the referral pointing out an absence of “credible evidence” to prolong the search, leaving it uncertain whether Chinese as well as Malaysian search groups would certainly fund an extended search.
“The report does not give a specific location for the missing aircraft and so we need credible evidence that identifies the specific location of the aircraft to extend the search,” a spokesperson for Australia’s Infrastructure as well as Transport Minister Darren Chester informed Reuters by telephone.
Malaysian transportation preacher Liow Tiong Lai stated it stayed to be seen exactly how the detectives’ record can assist recognize the details place of the airplane. He did not discuss financing.
A search of the present 120,000 sq kilometres (46,330 sq miles) search location west of Australia results from be finished in January, without any indication of the missing out on jet.
The referral to prolong the search complied with a conference in November in between collision detectives, satellite interaction as well as aeronautics specialists consisting of Boeing as well as federal government agents from Malaysia, China as well as Australia.
In Beijing, Chinese Foreign Ministry spokesperson Hua Chunying stated she did not have any type of information regarding the search.
“But what I want to stress is that since the MH370 incident, the Chinese government has paid great attention to this, and proactively participated in relevant work,” she informed a day-to-day rundown.
“We will continue to maintain close communication with Malaysia, Australia and other parties, and cooperate with them to do their relevant work well.”
INCORRECT AREA?
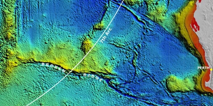
The Australian Transport Safety Bureau stated it thought the airplane was not in the present search location.
“There is a high degree of confidence that the previously identified underwater area searched to date does not contain the missing aircraft,” it stated in its record.
“Given the elimination of this area, the experts identified an area of approximately 25,000 sq km as the area with the highest probability of containing the wreckage of the aircraft.”
The brand-new search location is north of the present one, which has actually been the emphasis of the A$ 200 million ($ 145 million) initiative. It would certainly stand for the 2nd time the search has actually been expanded if financing loomed.
Malaysia as well as Australia have actually added the mass of search funding. Malaysia holds utmost obligation offered Malaysia Airlines is signed up there, while the airplane is believed to have actually collapsed west of Australia, putting it in the nation’s maritime area of obligation.
Grace Subathirai Nathan, whose mommy got on the airplane, stated it was unclear what authorities were doing to discover the brand-new proof that would certainly please the Australian federal government needs.
“The families have time and again requested that an international appeal to all nations be made if the three participating states are unable to fully support the extended search,” stated Nathan, that heads the next-of-kin support system called Members of Voice 370. (Additional coverage by Ben Blanchard in BEIJING; Writing by Jonathan Barrett.; Editing by Michael Perry, Robert Birsel)
( c) Copyright Thomson Reuters 2016.











